El Estado no tiene por que ser aburrido ¡conoce a gov.co!
¿Sabes que es GOV.CO?
¿Sabes que es GOV.CO? Conócelo aquí
Cambiar tamaño de texto
Cambiar color del portal
La accesibilidad a la Web significa que las personas con discapacidades pueden percibir, comprender, navegar e interactuar con la Web, y que pueden contribuir a la Web. La accesibilidad web también beneficia a otros, incluidas las personas mayores con capacidades cambiantes debido al envejecimiento.
Corporaci贸n colombiana de investigaci贸n agropecuaria
Corporación colombiana de investigación agropecuaria
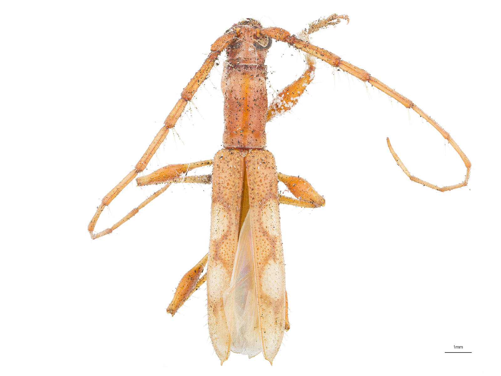
Heterachthes
Heterachthes sp.